深圳國際研究生院雷鈺團隊在二維材料缺陷工程用于表面增強拉曼散射領域取得進展

清華新聞網9月25日電 表面增強拉曼散射(SERS)是一種高靈敏度和特異性的技術,廣泛應用于化學分析、食品安全、醫學診斷和環境科學等領域。近年來,二維材料(如石墨烯和過渡金屬二硫化物)因其原子級平整的表面、良好的化學穩定性和可調節的電子結構,成為備受關注的非貴金屬SERS基底。然而,二維材料表面缺乏懸鍵——即二維材料表面惰性,導致分子吸附能力受限,影響了其作為SERS基底的性能。
近日,清華大學深圳國際研究生院雷鈺副教授團隊開發了一種等離子體處理二維材料引入缺陷的通用方法,通過等離子體處理在單層二硫化鎢(WS2)中引入納米孔,顯著增強分子吸附能力。同時,納米孔濃度的變化引起了WS2的光致發光光譜從紅移到藍移的轉變,藍移WS2與待測分子形成更好的帶隙匹配,極大地提高了電荷轉移效率,實現更低濃度的分子檢測。
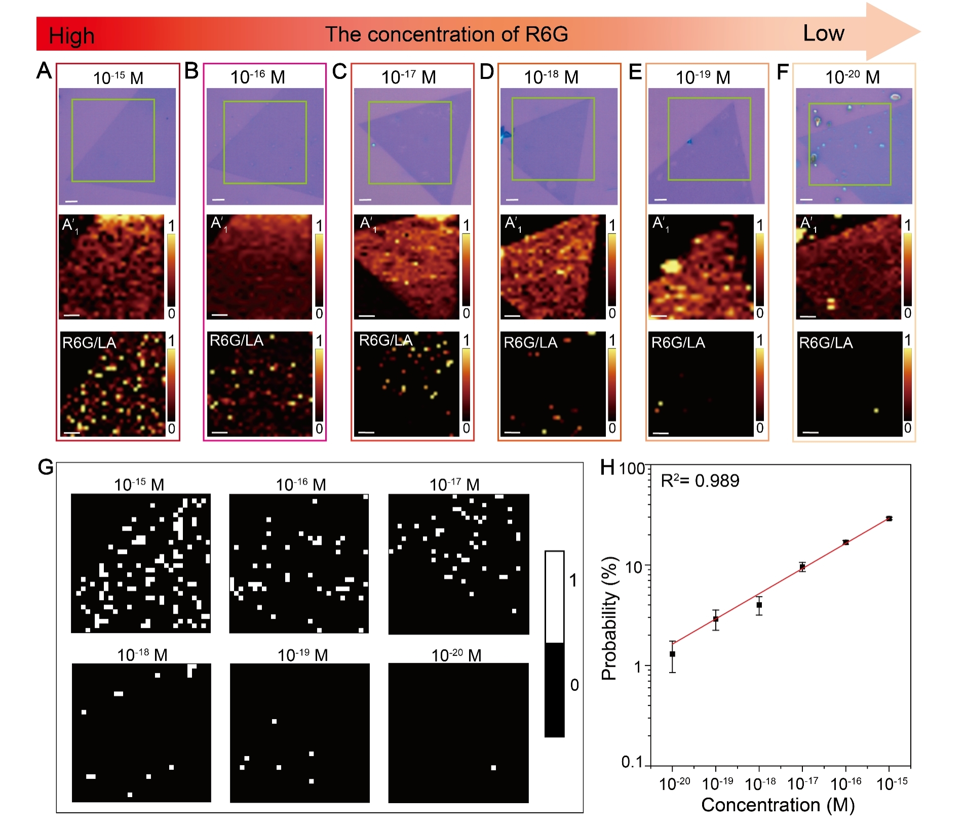
研究團隊利用SERS成像,直接觀察到分子吸附位點,證實納米孔作為活性位點的作用。得益于“數字化”的定量方法,盡管在分子濃度較低時拉曼信號強度基本不變,團隊亦可通過統計檢測到分子信號的概率,實現低濃度下的分子定量檢測,最終實現1×10-20M羅丹明B單分子的檢測(對應~1%的檢測概率)。此外,藍移WS2在檢測多種染料分子(結晶紫和亞甲基藍)和蛋白質(肌紅蛋白和β淀粉樣蛋白)方面表現出廣泛的應用前景,為開發超靈敏二維SERS基底提供了一種開創性的方法,進一步增進了對二維材料上SERS機制的理解。
圖1.等離子體處理WS2的帶隙調控及SERS性能
圖2.藍移WS2上低濃度R6G的SERS成像及定量分析
圖3.藍移WS2作為SERS基底的增強機制
研究成果以“在單層WS2中設計納米孔用于原子級平整二維表面的單分子成像”(Engineering Nanopore in monolayer WS2 for single molecule imaging on the atomic-scale flat 2D surfaces)為題,于9月19日發表于《科學進展》(Science Advances)。
清華大學深圳國際研究生院副教授雷鈺為論文通訊作者,清華大學深圳國際研究生院2023級博士生何浩琦、2025級博士生趙明闖和清華大學化學系2024級博士生徐恒越為論文共同第一作者。論文的共同作者包括清華大學深圳國際研究生院教授康飛宇、劉碧錄、馬嵐,副教授干林等,以及美國麻省理工學院博士后張天翼等。此外,中國科學院蘇州納米技術與納米仿生研究所副研究員馮思敏在研究工作開展前期給予了重要支持。研究得到國家自然科學基金委、科技部、廣東省科技廳、深圳市科創局、清華大學深圳國際研究生院材料檢測中心及雙螺旋中心等的支持。
本文鏈接:http://knowith.com/news-3-3946.html深圳國際研究生院雷鈺團隊在二維材料缺陷工程用于表面增強拉曼散射領域取得進展
聲明:本網頁內容由互聯網博主自發貢獻,不代表本站觀點,本站不承擔任何法律責任。天上不會到餡餅,請大家謹防詐騙!若有侵權等問題請及時與本網聯系,我們將在第一時間刪除處理。
唯美句子摘抄
下雪的唯美句子
奈何的詩句
公證處委托書
委托書格式
《我叫金三順》的臺詞
封頂儀式主持人臺詞
熊出沒之奪寶熊兵的臺詞
龍門鏢局臺詞
醫務科年度工作計劃
如登春臺:青島李滄區上門代還信用卡,多年經營,多年經驗誠信
喜從天降:上海靜安區代還信用卡真實商戶積分,價格最低的地方
最新總結:京東白條取現方法教程(十年本地商家這10種方法告知)-知者
天平:京東白條的靠譜刷法,教你五個簡單方法秒到
喜從天降:上海虹口區上門代還信用卡,可長期合作,流程簡單高效
奮發圖強:螞蟻花唄額度怎么提現出來(試試這三個操作步驟)
羊小咩便荔卡怎么套出來,推薦五種取現方法
龍鳳呈祥:深圳墊還信用卡,可長期合作,實體店多種方式
風馳電掣:合肥包河區代還信用卡墊還,怎么刷出來,5種常用方式
實測:羊小咩便荔卡回收商家(二十四小時在線解答)